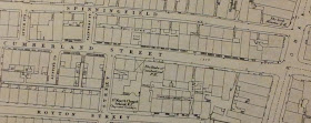
At the end of Brazennose Street across Deansgate today sits the front of the Spinningfields development. From the 1849 map shown below, it's clear that the name Spinningfields was taken from the old street that used to pass just north of here - Spinningfield. The next street south was Cumberland Street which ran directly along the path of Brazennose Street, on to meet up with Dolefield (which itself ran all the way down to Hardman's Street). One-third of the way along Cumberland Street on the left side was the Duke of Cumberland. To its rear was the tiny St Mary's Chapel School R.C. (Day and Sunday) down Austin Street - the school was no bigger than the pub [1]. Also to the rear of the pub were nine court dwellings - nine tiny houses all facing inwards to Taylor's Court, each of which will have housed large families while the court will may have housed their animals and will have acted as dumping ground for rubbish and worse.
Duke of Cumberland, Cumberland Street, 1849. (c) Alan Godfrey Maps [1].
The Duke of Cumberland was at No.9 Cumberland Street and in the 1821-1822 directory was listed as being run by Hector Tinling [2]. It hadn't always been a pub, and was in fact a Poor House originally. Number 9 Cumberland Street was advertised in The Mercury in May 1803 as "two extensive and commodious dwelling houses, with gardens, outbuildings and other conveniences thereto belonging... situated in Deansgate... in the present possession of Mr Barrow and Mrs C. Marriott." The advert explained the property was to let "either with or without the warehouses and cottages adjoining", which was probably the old workhouse. The property had been established in 1792 as the Manchester Poor House but by 1819 it had been converted into the Duke of Cumberland, and remained so for over 80 years, changing its name to the Cumberland Arms in 1876. In 1901 it had ceased being a public house [3].
2. http://tinlingenealogy.org/trees/manchester.htm.
3. Provision for the relief of the poor in Manchester 1754-1826, Gordon Bradley Hindle (1975).

No comments:
Post a Comment